Camrose, AB T4V 2P7,4720 68 Street
Camrose, AB T4V 2P7,4720 68 Street
Camrose, AB T4V 2P7,4720 68 Street
REQUEST A TOUR If you would like to see this home without being there in person, select the "Virtual Tour" option and your agent will contact you to discuss available opportunities.
In-PersonVirtual Tour
Mon
26
Jan
Tue
27
Jan
Wed
28
Jan
$148,200
Est. payment /mo
4,284 Sqft Lot
Save

UPDATED:

Key Details

Property Type Vacant Land

Sub Type Residential Land

Listing Status Active

Purchase Type For Sale

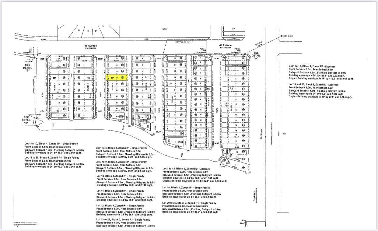
Subdivision West Park

MLS® Listing ID A2017242

Lot Size 4,284 Sqft

Acres 0.1

Property Sub-Type Residential Land

Source Central Alberta

Property Description

Welcome to West Park's newest development....Lakeside!!! This development is situated close to shopping and dining. You can access the walking path along the lake and build your own home! Don't miss out on an amazing opportunity in 2026.

Location

Province AB

County Camrose

Zoning R1

Exterior

Fence None

Community Features Shopping Nearby

Lot Frontage 34.0

Others

Restrictions Architectural Guidelines

Tax ID 56489205

Ownership Private


Read Less Info
Listed by RE/MAX Real Estate (Edmonton) Ltd.
Ken Rigel

Ken Rigel

Team Lead

+1(403) 207-1748

GET MORE INFORMATION

Name
Phone*
Message

Tour this home

4720 68 Street