REQUEST A TOUR If you would like to see this home without being there in person, select the "Virtual Tour" option and your agent will contact you to discuss available opportunities.
In-PersonVirtual Tour

$151,600
Est. payment /mo
6,300 Sqft Lot
UPDATED:
Key Details
Property Type Vacant Land
Sub Type Residential Land
Listing Status Active
Purchase Type For Sale
Subdivision West Park
MLS® Listing ID A2016927
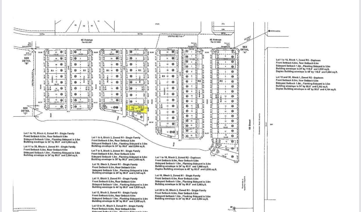
Lot Size 6,300 Sqft
Acres 0.14
Lot Dimensions 49'9\"x126'x29'9\"x127'5\"
Property Sub-Type Residential Land
Source Central Alberta
Property Description
Welcome to West Park's newest development....Lakeside!!! This development is situated close to shopping and dining. You can access the walking path along the lake and build your own home! Don't miss out on an amazing opportunity in 2026.
Location
Province AB
County Camrose
Zoning R1
Exterior
Fence None
Community Features Shopping Nearby
Lot Frontage 49.0
Others
Restrictions Architectural Guidelines
Tax ID 56489205
Ownership Private
Read Less Info
Listed by RE/MAX Real Estate (Edmonton) Ltd.

GET MORE INFORMATION
QUICK SEARCH
- Airdrie, AB Homes For Sale
- Cochrane, AB Homes For Sale
- Okotoks, AB Homes For Sale
- Rocky View County, AB Homes For Sale
- Foothills County, AB Homes For Sale
- Canmore, AB Homes For Sale
- Banff, AB Homes For Sale
- Chestemere, AB Homes For Sale
- Springbank, AB Homes For Sale
- Black Diamond / Turner Valley, AB Homes For Sale
- Bragg Creek, AB Homes For Sale
- Langdon, AB Homes For Sale
- Arbour, AB Homes For Sale
- Royal Oak , AB Homes For Sale
- Rocky Ridge, AB Homes For Sale
- Tuscany, AB Homes For Sale
- Altadore, AB Homes For Sale
- South Calgary, AB Homes For Sale
- Killarney, AB Homes For Sale
- Glendale, AB Homes For Sale
- Springbank Hill, AB Homes For Sale
- Sienna Hills, AB Homes For Sale




